
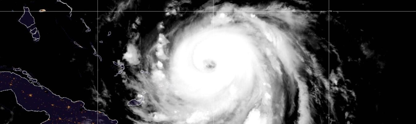
A tropical storm warning remains in effect for the Turks and Caicos Islands as well as the southeastern Bahamas as a re-intensifying Hurricane Erin gradually churns north of the Caribbean on Monday (August 18).
The first hurricane of the 2025 Atlantic Season regained category four strength, with the US-based National Hurricane Center (NHC) noting that Erin is increasing in size thanks to favourable environmental conditions.
As at 2:00 am Atlantic Standard Time, the centre of Erin was located near latitude 22.6 North and longitude 69.9 West—or roughly 175 kilometres northeast of Grand Turk Island. Barrelling northwest at a slowed pace of 19 kilometres/hour, the major hurricane is currently packing maximum sustained winds at 215 kilometres/hour, with higher gusts.

Still a dangerously powerful cyclone, Hurricane Erin has weakened from its category five, 260 kilometres/hour peak intensity, following an impressive rapid intensification phase on August 16.
The NHC observed that hurricane-force winds extend outward from Erin’s centre up to 95 kilometres, while tropical-storm-force winds extend outward up to 370 kilometres.
On the forecast track, meteorologists say that even though some weakening is forecast beginning tonight, Erin will remain a large and dangerous major hurricane through the middle of this week.

The core of Erin, according to the NHC, is expected to pass to the east of the southeastern Bahamas today and move between Bermuda and the east coast of the United States by the middle of the week.
Comments